iN ASTA A cAMPI bSENZIO /(FI)

In vendita
Appartamento
Campi Bisenzio
150.700 €
Descrizione
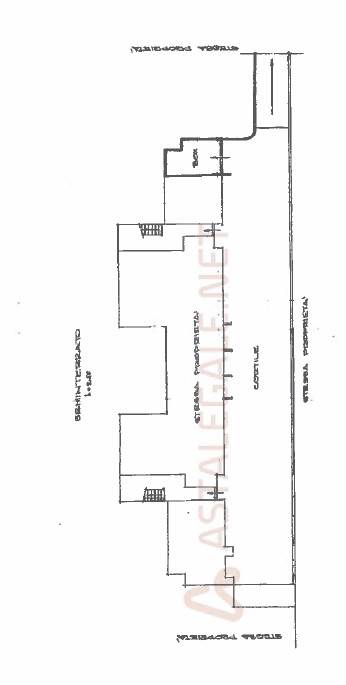
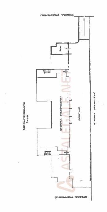
In asta la piena proprietà di unità immobiliare ad uso civile abitazione posta a piano terreno e costituita da quattro vani , compresa cucina oltre accessori tra cui :
- servizio igienico, ingresso, disimpegno, balconi oltre resede esclusivo. Completano la proprietà una cantina e un garage situati al piano seminterrato.

Stai cercando opportunità immobiliari a prezzi imbattibili? Le aste giudiziarie potrebbero essere la risposta che stai cercando, possono sembrare complesse e intimidatorie, noi siamo qui per semplificare il processo.
Offriamo consulenze personalizzate, analisi di mercato e supporto dedicato per aiutarti a trovare le migliori occasioni.
I nostri clienti hanno ottenuto risultati straordinari grazie alla nostra assistenza e le testimonianze parlano chiaro: con noi, ogni passo è sicuro e trasparente.
La tua soddisfazione è la nostra priorità, e i successi dei nostri clienti sono la migliore prova del nostro impegno.
Non perdere tempo contattaci oggi per una consulenza gratuita e scopri come realizzare il tuo sogno immobiliare!
Caratteristiche principali
Codice:
260402FI 365
Città:
Campi Bisenzio
Categoria:
Appartamento
Locali:
5
Camere:
2
Bagni:
1
Mq:
107
Box:
1
Mq Box:
17
Terrazzi:
2
mq Terrazzo:
22
Classe energetica:
G
Stato Immobile:
Buono
Mappa
Via Fra' Guittone, 149 - Campi Bisenzio (FI)
Video
Planimetrie
Cookie preference