Ampio appartamento con garage e cantina in asta a Figline

In vendita
Appartamento
Figline e Incisa Valdarno
81.563 €
Descrizione
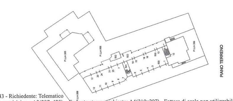
In vendita il diritto di piena proprietà su unità immobiliare a destinazione civile abitazione posta al piano primo, costituita da 5 vani compresa cucina oltre disimpegno, due servizi, tre camere da letto, due ripostigli e due balconi. e' inoltre compreso un locale ad uso cantina posto al piano terreno ed accessibile dall'esterno comunicante internamente con il garage sempre posto al piano terreno.

Stai cercando opportunità immobiliari a prezzi imbattibili? Le aste giudiziarie potrebbero essere la risposta che stai cercando, possono sembrare complesse e intimidatorie, noi siamo qui per semplificare il processo.
Offriamo consulenze personalizzate, analisi di mercato e supporto dedicato per aiutarti a trovare le migliori occasioni.
I nostri clienti hanno ottenuto risultati straordinari grazie alla nostra assistenza e le testimonianze parlano chiaro: con noi, ogni passo è sicuro e trasparente.
La tua soddisfazione è la nostra priorità, e i successi dei nostri clienti sono la migliore prova del nostro impegno.
Non perdere tempo contattaci oggi per una consulenza gratuita e scopri come realizzare il tuo sogno immobiliare!
Caratteristiche principali
Codice:
260217PT 313
Città:
Figline e Incisa Valdarno
Categoria:
Appartamento
Locali:
5
Camere:
3
Bagni:
2
Mq:
139
Mq Box:
16
Classe energetica:
G
Mappa
via Gustavo Console - Figline e Incisa Valdarno (FI)
Video
Cookie preference