In asta ampio appartamento a Firenze

In vendita
Appartamento
Firenze
432.000 €
Descrizione
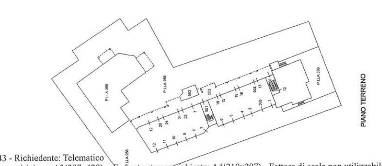
In vendita tramite asta la piena proprietà di un appartamento ad uso civile abitazione di mq.180 circa composto da sei vani compresa la cucina, oltre servizi , due terrazze e soffitta dove è presente un secondo servizio. Completa la proprietà un locale ad uso cantina al piano seminterrato

Stai cercando opportunità immobiliari a prezzi imbattibili? Le aste giudiziarie potrebbero essere la risposta che stai cercando, possono sembrare complesse e intimidatorie, noi siamo qui per semplificare il processo.
Offriamo consulenze personalizzate, analisi di mercato e supporto dedicato per aiutarti a trovare le migliori occasioni.
I nostri clienti hanno ottenuto risultati straordinari grazie alla nostra assistenza e le testimonianze parlano chiaro: con noi, ogni passo è sicuro e trasparente.
La tua soddisfazione è la nostra priorità, e i successi dei nostri clienti sono la migliore prova del nostro impegno.
Non perdere tempo contattaci oggi per una consulenza gratuita e scopri come realizzare il tuo sogno immobiliare!
Caratteristiche principali
Codice:
260212FI 314
Città:
Firenze
Categoria:
Appartamento
Locali:
6
Camere:
4
Bagni:
2
Mq:
180
Terrazzi:
2
mq Terrazzo:
16
Piano:
3
Classe energetica:
G
Stato Immobile:
Ottimo
Grado:
Medio
Posizione:
Centro
Accessori
Ascensore
Mappa
Viale Malta - Firenze (FI)
Video
Cookie preference